
Adresse des Objekts
77974 Meißenheim
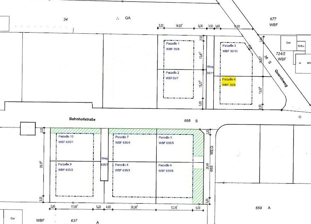
521 m²
35/9
171.930 €
Attraktives 521-m²-Grundstück in der schönen Ortenau
Willkommen in Meißenheim – hier wartet ein 521 m² großes Grundstück darauf, zum Fundament Ihres zukünftigen Zuhauses zu werden. Die Bebauung erfolgt exklusiv mit einem WeberHaus, wodurch Sie von Beginn an auf höchste Qualität, moderne Bauweise und nachhaltige Technik setzen.
Trotz der Herstellerbindung bleiben Sie bei der Gestaltung vollkommen flexibel: Gemeinsam mit WeberHaus entwickeln Sie ein Haus, das exakt zu Ihren Vorstellungen passt – großzügig, kompakt, offen, klassisch oder modern. Jede Idee kann individuell umgesetzt werden, sodass Ihr neues Zuhause ein echtes Unikat wird.
Haben Sie Lust, Ihren Wohntraum zu starten?
Dann nehmen Sie gerne Kontakt mit uns auf – wir begleiten Sie Schritt für Schritt auf dem Weg zu Ihrem eigenen WeberHaus.


Objektdetails & weitere Kennzahlen
- Flurstück 35/9
- Erschliessungszustand Vollerschlossen
- Empfohlene Nutzungsarten Einfamilienhaus
- Bebaubar nach Bebauung nach Bebauungsplan
Sonstige Angaben
Der Grundstücks-Gesamtpreis ist ein Zielpreis und kann aufgrund der noch nicht abgeschlossenen Erschließungsmaßnahmen noch variieren bzw. nicht final sichergestellt werden – bitte sprechen Sie uns hierzu an.
Unser WeberHaus Finanzierungsservice steht Ihnen selbstverständlich ebenfalls zur Verfügung und erstellt Ihnen auf Wunsch ein maßgeschneidertes Baufinanzierungskonzept.
Lage
Meißenheim liegt in einer reizvollen, naturnahen Umgebung im Ortenaukreis und verbindet ländliche Ruhe mit hervorragender Anbindung. Die Gemeinde befindet sich nur wenige Fahrminuten von der A5 entfernt und bietet dadurch eine schnelle Erreichbarkeit der umliegenden Städte – ideal für Pendler und alle, die mobil bleiben möchten.
Die Stadt Lahr erreichen Sie in kurzer Zeit, ebenso das wirtschaftlich starke Offenburg, das vielfältige Einkaufsmöglichkeiten, kulturelle Angebote und zahlreiche Arbeitsplätze bietet. Trotz der Nähe zu diesen Zentren genießen Sie in Meißenheim ein entspanntes, familienfreundliches Wohnumfeld mit viel Grün, schönen Spazierwegen und einer funktionierenden Infrastruktur.