Grundstücks- und Immobilienservice
Sie träumen vom eigenen Zuhause, es fehlt aber noch am passenden Grundstück?
Unser Service für Ihre Grundstücksuche bietet eine umfangreiche Auswahl an Baugrundstücken für jeden Bedarf.
Starten Sie hier Ihren Weg zum Traumhaus!
Grundstücke in Ihrer Region finden
-

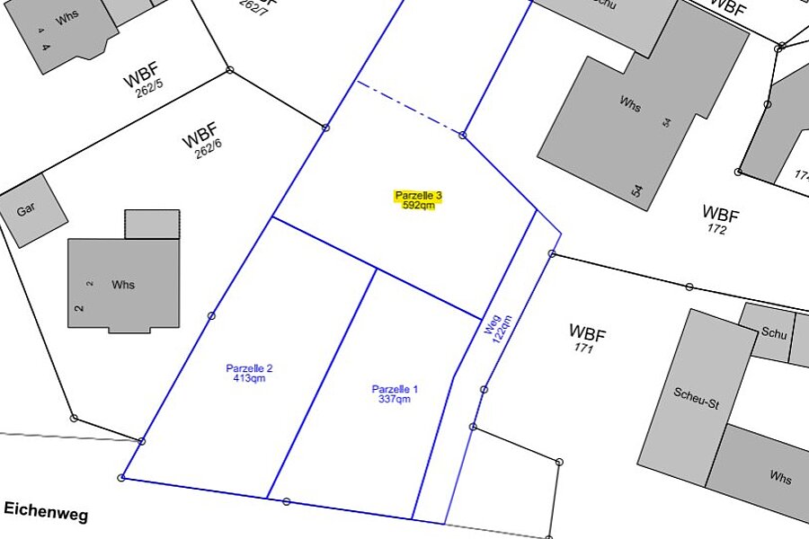
77866 Diersheim
Grundstück mit großem Garten in Diersheim
Zum Verkauf steht ein attraktives Grundstück mit einer Fläche von 592 m² + 122 m² Zuwegung in…
-

77866 Diersheim
Ihr Traum vom Eigenheim beginnt hier – Grundstück in Diersheim
Zum Verkauf steht ein attraktives Grundstück mit einer Fläche von 413 m² in ruhiger Lage von…
-

77866 Diersheim
Baugrundstück in Diersheim zu verkaufen
Zum Verkauf steht ein attraktives Grundstück mit einer Fläche von 337 m² in ruhiger Lage von…
-

77652 Offenburg-Windschläg
Baugrundstück in Offenburg-Windschläg mit individuellem WeberHaus - Wohnen, wo Lebensqualität zuhause ist
In begehrter Wohnlage von Offenburg-Windschläg erwartet Sie eine seltene Gelegenheit: Ein…
-

57439 Attendorn
Sonniges Grundstück in Attendorn
Hier erwartet Sie ein neu erschlossenes Baugrundstück in nördlicher Ortsrandlage von Attendorn.…
-

57439 Attendorn
Ruhig gelegenes Grundstück in Attendorn
Das neu erschlossene Baugrundstück am Ortsrand von Attendorn ist nahezu eben und bietet Ihnen viel…
-

57258 Freudenberg
Sonniges Grundstück in Ortsrandlage
Voll erschlossenes Grundstück in idyllischer Ortsrandlage von Heisberg. Das Grundstück in…
-

14476 Groß Glienicke
Klein , aber mein !
Auf rund 425 m² Grundstücksfläche wartet Ihre Chance, ein Zuhause nach Ihren Wünschen zu…
-

14656 Brieselang
Idylle in Brieselang
Sie suchen schon lange Ihren Rückzugsort im Grünen für Ihre Familie?Dann endet Ihre Suche…
-

15806 Zossen OT Kallinchen
Grundstück mit Weitblick
Abseits des Trubels der Großstadt kann man hier in Zossen wunderbar naturnah entspannen, ohne auf…
-

12526 Berlin
Großzügiges Wohnen in Bohnsdorf
Mit der Größe von 1311 m² bietet dieses Grundstück viel Raum für individuelle Wohnträume. Das…
-

12526 Berlin
Wohnen in Bohnsdorf
Mit der Größe von 655 m² bietet dieses Grundstück viele Möglichkeiten für individuelle Wohnträume.…
-

82166 Gräfelfing
Sonniges Baugrundstück für Neubau eines Einfamilienhauses in begehrter Lage in Gräfelfing
Dieses sonnige Baugrundstück befindet sich in einer sehr begehrten und ruhigen Wohnlage in…
-

78570 Mühlheim an der Donau
Attraktives Baugrundstück im schönen Donautal
Neuerschlossenes Baugrundstück in nordöstlicher Ortsrandlage von Mühlheim an der Donau.Das…
-

78359 Orsingen
Renditeobjekt mit möglicher Eigennutzung am Bodensee
Das Grundstück mit 255qm liegt in einer Seitenstraße im Ortsteil Orsingen, 10 Autominuten vom…
-

78112 St. Georgen
Ihr neues Zuhause in einer der schönsten Regionen des Schwarzwaldes - Glashöfe in St. Georgen
Das Grundstück befindet sich im Neubaugebiet "Glashöfe" in Sankt Georgen, einem Baugebiet, in dem…
-

78570 Mühlheim an der Donau
Grundstück für Ihr Einfamilienhaus zu verkaufen
Neuerschlossenes Baugrundstück in nordöstlicher Ortsrandlage von Mühlheim an der Donau.Das…
-

78570 Mühlheim an der Donau
Sonniges Grundstück in toller Lage
Neuerschlossenes Baugrundstück in Ortsrandlage von Mühlheim an der Donau.Das Grundstück mit…
-

78570 Mühlheim an der Donau
Bauen in Mühlheim an der Donau - sonniges Grundstück in top Lage
Neuerschlossenes Baugrundstück in Ortsrandlage von Mühlheim an der Donau.Das Grundstück mit…
-

78570 Mühlheim an der Donau
Sonniges Grundstück im historischen Mühlheim an der Donau
Neuerschlossenes Baugrundstück in Ortsrandlage von Mühlheim an der Donau.Das Grundstück mit…
-

78570 Mühlheim an der Donau
Schönes Baugrundstück im Herzen des Donautals
Neuerschlossenes Baugrundstück in Ortsrandlage von Mühlheim an der Donau, bebaubar auch mit…
-

79739 Schwörstadt
Exklusives Baugrundstück mit unverbaubarem Rheinblick
Exklusive Baugrundstücke mit unverbaubarem RheinblickKettenhausbebauung „Am Rhein / Augstmatt“ –…
-

79739 Schwörstadt
Exklusives Baugrundstück mit unverbaubarem Rheinblick
Exklusive Baugrundstücke mit unverbaubarem RheinblickKettenhausbebauung „Am Rhein / Augstmatt“ –…
-

79739 Schwörstadt
Exklusives Baugrundstück mit unverbaubarem Rheinblick
Exklusive Baugrundstücke mit unverbaubarem RheinblickKettenhausbebauung „Am Rhein / Augstmatt“ –…
-

15806 Dabendorf
Bevorzugte Wohnlage
Das Grundstück wird in zweiter Reihe angebotender Blick ist aber…
-

79112 Freiburg
Hochwertige Neubau-Einfamilienhäuser in ruhiger Lage nahe Freiburg
In ruhiger Ortsrandlage von Freiburg-Opfingen, im begehrten Ruländerweg, entstehen zwei moderne…
-

15806 Dabendorf
Bevorzugte Wohnrandlage
Das Grundstück wird in zweiter Reihe angebotender Blick ist aber…
-

58256 Ennepetal
Doppelhaus KfW-40
Ein Zuhause mit Zukunft – nachhaltig, individuell, lebenswert!Willkommen in Ihrem neuen Zuhause in…
-

82166 Gräfelfing
Grundstück + WeberHaus in Gräfelfing
ca. 400 m² für Ihr freistehendes WeberHaus - Bald verfügbar -Bitte wenden Sie sich bei…
-

06667 Weißenfels
Traumhafter Ausblick vom Hang - wunderschönes Grundstück in Weißenfels
Sie blicken hier auf ein Grundstück am Hang, welches einen wunderschönen Blick Richtung Natur…
-

16548 Glienicke-Nordbahn
Baugrundstück für ein Mehrfamilienhaus
derzeit ist das Grundstück mit einem alten Bungalow bebaut
-

16548 Glienicke-Nordbahn
Direkt am Landschaftsschutzgebiet
Das Grundstück ist 601 m² groß und nach B-Plan Nr. 5 "Kindelwald-Promenade" bebaubar. Es ist voll…
-

77694 Kehl
Moderne Doppelhaushälfte inklusive Grundstück zu verkaufen – finanzierbar ab 1.399 € mtl.
Willkommen in Ihrem neuen Zuhause! Diese hochwertige Doppelhaushälfte von WeberHaus bietet Ihnen ein…
-

77974 Meißenheim
Ihr Platz fürs Traumhaus in Meißenheim
Auf diesem 389,5 m² großen Grundstück in Meißenheim ist Platz für ein modernes und individuell…
-

77974 Meißenheim
Ihr Zuhause in Meißenheim – 498 m² für maßgeschneiderte Wohnträume
Entdecken Sie dieses attraktive 498,5 m² große Baugrundstück in Meißenheim, das Ihnen die…
-

77974 Meißenheim
Hier entsteht Ihr Traumhaus – Grundstück in Meißenheim
Dieses 371,5 m² große Grundstück ist die perfekte Grundlage für Ihr individuelles WeberHaus. Hier…
-

77974 Meißenheim
Attraktives 521-m²-Grundstück in der schönen Ortenau
Willkommen in Meißenheim – hier wartet ein 521 m² großes Grundstück darauf, zum Fundament Ihres…
-

77974 Meißenheim
Ihr Eigenheim in bester Lage: 411 m² Grundstück in Meißenheim
Dieses 411 m² große Grundstück in Meißenheim bietet Ihnen die ideale Grundlage, um Ihr persönliches…
-

77974 Meißenheim
Perfekt für Ihr Traumhaus: Sonniges 453-m²-Grundstück in Meißenheim
Dieses 453m² große Baugrundstück in Meißenheim bietet Ihnen die perfekte Grundlage für Ihr…
-

77974 Meißenheim
Baugrundstück (399 m²) in Meißenheim zu verkaufen
Dieses attraktive 399 m² große Grundstück in Meißenheim bietet Ihnen die ideale Basis für den Bau…
-

16727 Vehlefanz
Grundstück mit viel Natur
Zum Verkauf steht ein tolles Baugrundstück mit einer Größe von 706 m². Es liegt innerhalb des…
-

16567 Mühlenbeck Ortsteil Summt
Viel Natur im Norden von Berlin
Das Grundstück ist abrissfrei, vollerschlossen und kann sofort bebaut werden.
-

16548 Glienicke-Nordbahn
Wohnen im grünen Gürtel von Berlin
Zur Bebauung steht ein 631 m² großes Grundstück .Strom, Waser, Abwasser liegen in der Strasse…
-

16548 Glienicke-Nordbahn
Grundstück für besondere Ansprüche
Zur Bebauung steht ein insgesamt 1.262 m² großes Grundstück .Strom, Waser, Abwasser liegen in der…
-

15370 Fredersdorf-Vogelsdorf
Wohnen im schönen Fredersdorf-Vogelsdorf
Das Grundstück ist 853 m² groß und mit Strom teilerschlossen. Die besondere dreieckige Form des…
-

16348 Basdorf
Basdorf
Das Grundstück liegt in einer Kurve und ist 626 m² groß inkl. Anteil an einer Privatstr. Es gibt…
-

16515 Oranienburg
Ideales Baugrundstück zwischen Havel und Wald
Dieses Grundstück ist mehr als nur ein Baugrundstück – es ist die Startbasis für Ihre…
-

06792 Sandersdorf-Brehna
200 Meter zum See - Sonniges Grundstück für Ihr Familienglück
Neuerschlossenes Grundstück im "Wohnpark am See". Zwischen Wasser, Grün und Großstadt leben ……
-

85391 Allershausen
Ein Bungalow für ZWEI zum Wohlfühlen
NewLife: Das Haus für NeubeginnerMit newLife präsentiert WeberHaus ein Hauskonzept, das durch…
-

57299 Burbach
Schlüsselfertiger Bungalow mit Anbau "Barrierefrei" in 57299 Burbach
"Eben Leben" im Siegerland im Bungalow mit Anbau auf Bodenplatte in Schlüsselfertiger Bauweise.
-

57299 Burbach
Schlüsselfertiger Bungalow "Eben Leben" auf kleinem Grundstück in 57299 Burbach
Hier zählt nicht Größe, sondern Gefühl. Ein Zuhause, das mit Leichtigkeit begeistert, klein, doch…
-

78056 Villingen-Schwenningen
Wir sind Ihr Baupartner in der Region Villingen-Schwenningen!
Ihr neues Zuhause in der grünen Idylle von Villingen-Schwenningen – Ihr Traumhaus mit…
-

16515 Zühlsdorf
Zühlsdorf bei Berlin - Waldgrundstück
Auf dem Grundstück steht ein alter Bungalow, der für die Bauphase gut genutzt werden kann. Es…
-

94330 Aiterhofen
Bungalow und Neubau EFH auf einem Grundstück gemeinsam ...
Inmitten des idyllischen Ortes Aiterhofen bei Straubing erwartet Sie ein charmanter, voll möblierter…
-

85391 Allershausen
Attraktiv gelegenes Grundstück für charmantes Einfamilienhaus
Dieses einzigartige Grundstück bietet eine einmalige Gelegenheit, sich den Traum vom eigenen Zuhause…
-

85391 Allershausen
Das Haus das Ihnen Energie schenkt. Zeitlose Perfektion trifft ökologische Innovation.
Kompakt, clever geplant – zum Top-Preis-Leistungs-Verhältnis.Viel Raum für große und kleine…
-

84069 Schierling
Wir sind Ihr Baupartner in der Region Regensburg!
Ihr neues Zuhause im Wohngebiet im Norden von Schierling. Hier entsteht ein attraktives Neubaugebiet…
-

76461 Muggensturm
Grundstück für attraktive Doppelhaushälfte im Neubaugebiet Muggensturm
Dieses attraktive Baugrundstück in Muggensturm mit 260 m² eignet sich hervorragend für eine…
-

76461 Muggensturm
Ihr Eigenheim in Muggensturm – Grundstück zum Greifen nah!
Dieses attraktive Baugrundstück in Muggensturm bietet mit 530 m² ausreichend Platz für Ihr neues…
-

76461 Muggensturm
Moderne Doppelhaushälfte in Muggensturm – Ihr neues Zuhause wartet!
Dieses attraktive Baugrundstück in Muggensturm mit 294 m² eignet sich hervorragend für eine…
-

77694 Kehl Bodersweier
Großes Grundstück mit viel Platz für einen traumhaften Garten!
Dieses großzügige Grundstück (Parzelle 2) mit einer Fläche von 879 Quadratmetern befindet sich im…
-

77694 Kehl Bodersweier
Tolles Baugrundstück in Bodersweier – Perfekt für Ihr neues Zuhause!
Dieses wunderschöne Baugrundstück (Parzelle 1) befindet sich im kleinen, idyllischen Dorf…
-

36251 Bad Hersfeld
Traumhaus inkl. Grundstück in Bad Hersfeld
WeberHaus Einfamilienhaus mit Bodenplatte, Walmdach, Bungalow mit zwei geräumigen Kinderzimmern und…
-

57439 Attendorn
Attraktives Grundstück in Attendorn zur Bebauung mit einem WeberHaus
Mit einer Größe von 554 m² bietet das nahezu ebene Grundstück viel Freiraum für individuelle…
-

57439 Attendorn
Neubaugebiet Attendorn
Hier könnte Ihr Traumhaus mit Garten entstehen! Das Neubaugebiet "Am Hellepädchen" befindet sich am…
-

57439 Attendorn
Ihr neues zu Hause startet hier: 57439 Attendorn!
Entdecken Sie dieses ruhig gelegene Baugrundstück am Ortsrand von Attendorn. Es ist voll erschlossen…
-

77694 Odelshofen
Großzügiges Baugrundstück in toller Lage: Ihr Traumhaus in Odelshofen!
Entdecken Sie dieses großzügige Baugrundstück mit 844m² in Odelshofen, einem malerischen Dorf in der…
-

77654 Offenburg (Zell-Weierbach)
Begehrtes Grundstück in Offenburg (Zell-Weierbach)
Sie suchen nach dem idealen Ort für Ihr neues Zuhause? Wir bieten Ihnen dieses traumhafte Grundstück…
-

77654 Offenburg (Zell-Weierbach)
Grundstück in Offenburg (Zell-Weierbach) mit traumhaftem Ausblick
Sie suchen nach dem idealen Ort für Ihr neues Zuhause? Wir bieten Ihnen dieses traumhafte Grundstück…
-

77749 Diersburg
Grundstück mit Blick auf den Schwarzwald in Diersburg
Willkommen in Ihrer eigenen Oase der Ruhe und Natur! Dieses Grundstück befindet sich am Rande des…
-

77749 Diersburg
Sonniges Baugrundstück in ruhiger Lage – Ideal für Familien in Diersburg!
Entdecken Sie dieses zauberhafte Grundstück mit einer Fläche von 510 Quadratmetern. Ihr eigenes…
-

77749 Diersburg
Baugrundstück in Top-Lage – Perfekt für Ihr Traumhaus in Diersburg!
Sie suchen ein Grundstück in ruhiger und idyllischer Lage? Wir haben es gefunden!Dieses tolle…
-

36251 Bad Hersfeld
Effizient geplantes Zweifamilienhaus in Bad Hersfeld
Attraktives Zweifamilienhaus zur Selbstnutzung oder als Renditeobjekt mit Satteldach, 2…
-

77694 Kehl
Großzügige innenstädtische Grundstücke zur freien Bebauung
Die Stadt Kehl hat in Ihrem Stadtteil Sundheim ein Baugebiet mit mehreren Bauplätzen erschlossen.…
-

77694 Kehl
Großzügige innenstädtische Grundstücke zur freien Bebauung
Die Stadt Kehl hat in Ihrem Stadtteil Sundheim ein Baugebiet mit mehreren Bauplätzen erschlossen.…
-

77743 Neuried Altenheim
Grundstück für Ihr Einfamilienhaus zu verkaufen
Ein Baugrundstück mit 646,5m² für Ihr Einfamilienhaus von WeberHaus verfügbar. Ob ein frei geplantes…
-

77815 Bühl
Eines der wenigen Baugrundstücke in Bühl Stadt, zentrumsnah!
Eines der letzten Grundstücke in Zentrumsnähe der Stadt Bühl, in sehr beliebter und ruhiger…
-

77743 Neuried
Grundstück für Ihr Einfamilienhaus zu verkaufen
Ein Baugrundstück mit 680,5m² für Ihr Einfamilienhaus von WeberHaus verfügbar. Ob ein frei geplantes…
-

77743 Neuried
Grundstück für Ihr Einfamilienhaus zu verkaufen
Ein Baugrundstück mit 648,5m² für Ihr Einfamilienhaus von WeberHaus verfügbar. Ob ein frei geplantes…
