
Adresse des Objekts
77974 Meißenheim
390 m²
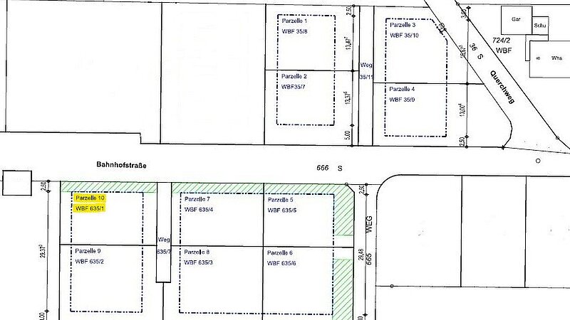
635/1
128.535 €
Ihr Platz fürs Traumhaus in Meißenheim
Auf diesem 389,5 m² großen Grundstück in Meißenheim ist Platz für ein modernes und individuell geplantes Zuhause. Die Bebauung erfolgt mit einem WeberHaus, einem Hersteller, der für durchdachte Architektur, energieeffiziente Bauweise und hohe Qualitätsstandards bekannt ist.
Auch wenn das Bauunternehmen vorgegeben ist, behalten Sie maximale Freiheit bei der Planung. Von der Bauform über die Raumgestaltung bis hin zu den Ausstattungsdetails – Ihr Haus wird genau so entworfen, wie Sie es wünschen. Jedes Projekt ist ein Unikat, das Ihren persönlichen Stil widerspiegelt.
Lassen Sie uns gemeinsam den nächsten Schritt gehen.
Wir freuen uns auf Ihre Kontaktaufnahme und beraten Sie gerne persönlich.


Objektdetails & weitere Kennzahlen
- Flurstück 635/1
- Erschliessungszustand Vollerschlossen
- Empfohlene Nutzungsarten Einfamilienhaus
- Bebaubar nach Bebauung nach Bebauungsplan
Sonstige Angaben
Der Grundstücks-Gesamtpreis ist ein Zielpreis und kann aufgrund der noch nicht abgeschlossenen Erschließungsmaßnahmen noch variieren bzw. nicht final sichergestellt werden – bitte sprechen Sie uns hierzu an.
Unser WeberHaus Finanzierungsservice steht Ihnen selbstverständlich ebenfalls zur Verfügung und erstellt Ihnen auf Wunsch ein maßgeschneidertes Baufinanzierungskonzept.
Lage
Meißenheim liegt in einer reizvollen, naturnahen Umgebung im Ortenaukreis und verbindet ländliche Ruhe mit hervorragender Anbindung. Die Gemeinde befindet sich nur wenige Fahrminuten von der A5 entfernt und bietet dadurch eine schnelle Erreichbarkeit der umliegenden Städte – ideal für Pendler und alle, die mobil bleiben möchten.
Die Stadt Lahr erreichen Sie in kurzer Zeit, ebenso das wirtschaftlich starke Offenburg, das vielfältige Einkaufsmöglichkeiten, kulturelle Angebote und zahlreiche Arbeitsplätze bietet. Trotz der Nähe zu diesen Zentren genießen Sie in Meißenheim ein entspanntes, familienfreundliches Wohnumfeld mit viel Grün, schönen Spazierwegen und einer funktionierenden Infrastruktur.