
Adresse des Objekts
77866 Diersheim
413 m²
107.380 €
Ihr Traum vom Eigenheim beginnt hier – Grundstück in Diersheim
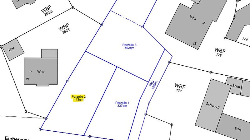
Zum Verkauf steht ein attraktives Grundstück mit einer Fläche von 413 m² in ruhiger Lage von Diersheim. Bei dieser Anzeige handelt es sich um Parzelle 2.
Die kompakte Größe eignet sich ideal für die Bebauung mit einem Einfamilienhaus ganz nach Ihren individuellen Vorstellungen und Wünschen.
Das Grundstück bietet vielfältige Gestaltungsmöglichkeiten und ist perfekt für Bauherren, die ihren Traum vom Eigenheim in naturnaher Umgebung verwirklichen möchten.
Gerne stehen wir Ihnen für weitere Informationen zur Verfügung und freuen uns auf Ihre unverbindliche Anfrage.






Objektdetails & weitere Kennzahlen
- Erschliessungszustand Keine Informationen
- Empfohlene Nutzungsarten Einfamilienhaus
- Bebaubar nach Bebauung nach Bebauungsplan
Sonstige Angaben
Unser WeberHaus Finanzierungsservice steht Ihnen selbstverständlich ebenfalls zur Verfügung und erstellt Ihnen auf Wunsch ein maßgeschneidertes Baufinanzierungskonzept.
Lage
Diersheim, ein idyllischer Ortsteil der Gemeinde Rheinau, überzeugt durch seine ruhige und naturnahe Lage direkt am Rhein. Die Umgebung ist geprägt von weitläufigen Feldern, Wiesen und Auenlandschaften und bietet einen hohen Erholungswert sowie vielfältige Freizeitmöglichkeiten wie Radfahren, Spazieren und Wassersport.
Trotz der ländlichen Atmosphäre ist die Infrastruktur gut angebunden: Die nahegelegenen Städte Kehl und Offenburg sind in kurzer Zeit erreichbar und bieten eine umfassende Auswahl an Einkaufsmöglichkeiten, Schulen, Ärzten und weiteren Einrichtungen des täglichen Bedarfs. Auch die Nähe zur französischen Grenze und zur Europastadt Straßburg macht den Standort besonders attraktiv – sowohl für Pendler als auch für Freizeitaktivitäten.