
Adresse des Objekts
auf Anfrage, 57258 Freudenberg
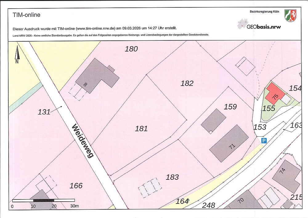
1.072 m²
181
Auf Anfrage
Sonniges Grundstück in Ortsrandlage
Voll erschlossenes Grundstück in idyllischer Ortsrandlage von Heisberg. Das Grundstück in Südhanglage ermöglicht einen weitläufigen Panoramablick über das Heisbergtal mit unverbaubarer Sicht. Hier können Sie wunderbar naturnah entspannen ohne auf eine gute Anbindung verzichten zu müssen. Mit einer Größe von 1072 m² bietet das Grundstück viel Freiraum für individuelle Gestaltungsmöglichkeiten, wir beraten Sie gern!
Tel.: 02762-9753-13 oder 0178-8808828
Öffnungszeiten: Mo - Fr 9:00 - 12:00 Uhr und 13:00 - 17:00 Uhr; Sa + So 10:00 - 17:00 Uhr


Objektdetails & weitere Kennzahlen
- Flurstück 181
- Erschliessungszustand Vollerschlossen
- Empfohlene Nutzungsarten Einfamilienhaus
- Bebaubar nach Nachbarbebauung
Sonstige Angaben
Das Grundstück kann nur zur Bebauung mit einem WeberHaus erworben werden. Unser WeberHaus-Finanzierungsservice ( WHF ) erstellt gern ein für Sie maßgeschneidertes Finanzierungskonzept inklusive eines umfassenden Fördermittel-Checks.
Lage
Der kleine Ort Heisberg mit rund 200 Einwohnern ist sehr ruhig gelegen und dennoch gut zu erreichen. Siegen und die Fachwerkstadt Freudenberg sind nur 9 km entfernt, den nächsten Autobahnanschluss erreichen Sie schon in 3,5 km Entfernung.