
Adresse des Objekts
77974 Meißenheim
399 m²
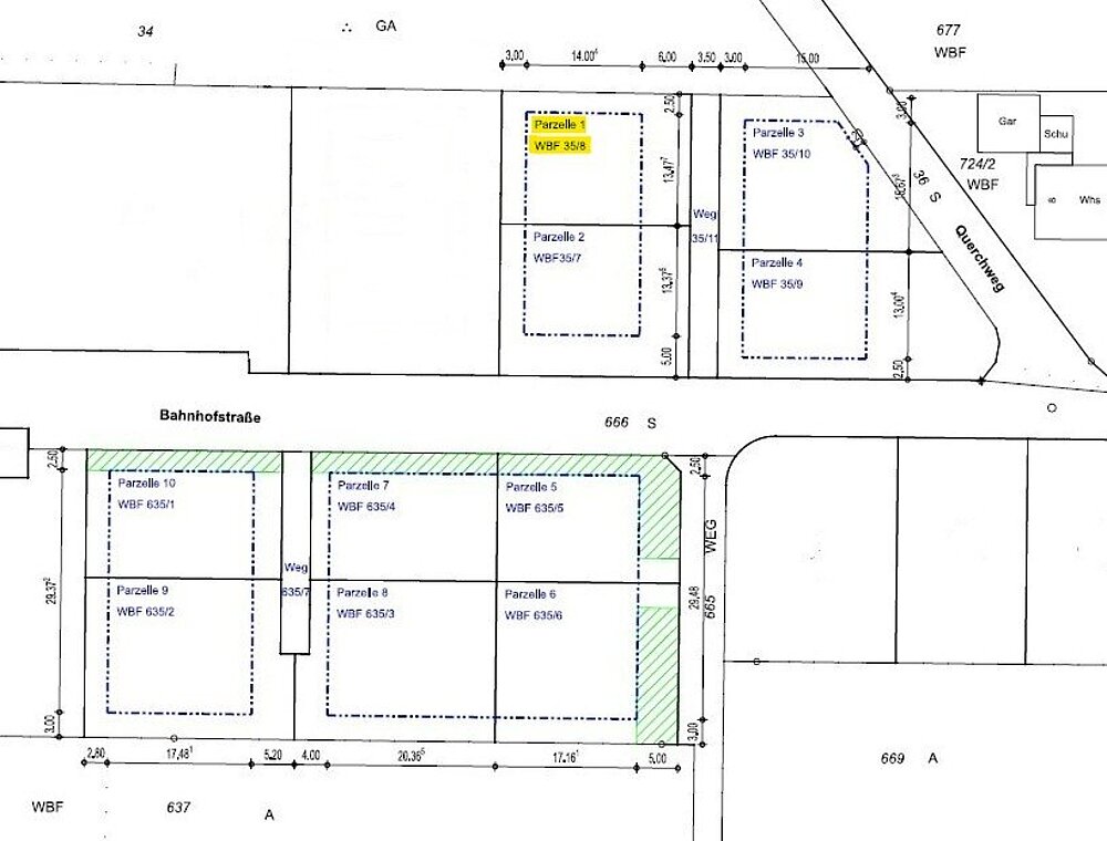
35/8
131.670 €
Baugrundstück (399 m²) in Meißenheim zu verkaufen
Dieses attraktive 399 m² große Grundstück in Meißenheim bietet Ihnen die ideale Basis für den Bau Ihres individuellen Traumhauses von WeberHaus. Hier haben Sie die Freiheit, Ihr zukünftiges Zuhause ganz nach Ihren persönlichen Vorstellungen zu gestalten – ob modern, klassisch oder besonders energieeffizient.
Das Grundstück liegt im ruhigen Neubaugebiet Kronenwiese. Dank der flexiblen Planungsmöglichkeiten von WeberHaus können Sie Ihren Wohntraum passgenau umsetzen – von der Raumaufteilung über die Architektur bis hin zu nachhaltigen Ausstattungsdetails.
Nutzen Sie diese Chance und treten Sie noch heute mit uns in Kontakt – wir beraten Sie gerne persönlich.


Objektdetails & weitere Kennzahlen
- Flurstück 35/8
- Erschliessungszustand Vollerschlossen
- Empfohlene Nutzungsarten Einfamilienhaus
- Bebaubar nach Bebauung nach Bebauungsplan
Sonstige Angaben
Der Grundstücks-Gesamtpreis ist ein Zielpreis und kann aufgrund der noch nicht abgeschlossenen Erschließungsmaßnahmen noch variieren bzw. nicht final sichergestellt werden – bitte sprechen Sie uns hierzu an.
Unser WeberHaus Finanzierungsservice steht Ihnen selbstverständlich ebenfalls zur Verfügung und erstellt Ihnen auf Wunsch ein maßgeschneidertes Baufinanzierungskonzept.
Lage
Meißenheim liegt in einer reizvollen, naturnahen Umgebung im Ortenaukreis und verbindet ländliche Ruhe mit hervorragender Anbindung. Die Gemeinde befindet sich nur wenige Fahrminuten von der A5 entfernt und bietet dadurch eine schnelle Erreichbarkeit der umliegenden Städte – ideal für Pendler und alle, die mobil bleiben möchten.
Die Stadt Lahr erreichen Sie in kurzer Zeit, ebenso das wirtschaftlich starke Offenburg, das vielfältige Einkaufsmöglichkeiten, kulturelle Angebote und zahlreiche Arbeitsplätze bietet. Trotz der Nähe zu diesen Zentren genießen Sie in Meißenheim ein entspanntes, familienfreundliches Wohnumfeld mit viel Grün, schönen Spazierwegen und einer funktionierenden Infrastruktur.