
Adresse des Objekts
77974 Meißenheim
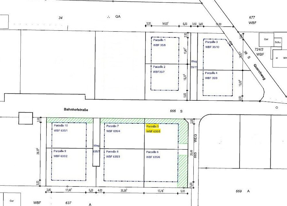
342 m²
635/5
112.860 €
Hier entsteht Ihr neues Zuhause – 342 m² Grundstück in Top-Lage in Meißenheim
Erfüllen Sie sich Ihren Wohntraum mit einem WeberHaus! Auf diesem attraktiven Grundstück haben Sie die Möglichkeit, Ihr individuelles Eigenheim ganz nach Ihren Wünschen zu gestalten. Ob moderne Architektur oder klassisches Design – mit WeberHaus setzen Sie auf Qualität, Energieeffizienz und zeitloses Wohnen.
Das Grundstück bietet ausreichend Platz für Ihr Traumhaus und einen schönen Gartenbereich. Dank der flexiblen Planung können Sie Grundriss, Ausstattung und Details selbst bestimmen. So entsteht ein Zuhause, das perfekt zu Ihnen und Ihrer Familie passt.
Starten Sie jetzt in Ihre Zukunft – wir freuen uns darauf, Sie bei der Verwirklichung Ihres Traumhauses in Meißenheim zu begleiten!


Objektdetails & weitere Kennzahlen
- Flurstück 635/5
- Erschliessungszustand Vollerschlossen
- Empfohlene Nutzungsarten Einfamilienhaus
- Bebaubar nach Bebauung nach Bebauungsplan
Sonstige Angaben
Der Grundstücks-Gesamtpreis ist ein Zielpreis und kann aufgrund der noch nicht abgeschlossenen Erschließungsmaßnahmen noch variieren bzw. nicht final sichergestellt werden – bitte sprechen Sie uns hierzu an.
Unser WeberHaus Finanzierungsservice steht Ihnen selbstverständlich ebenfalls zur Verfügung und erstellt Ihnen auf Wunsch ein maßgeschneidertes Baufinanzierungskonzept.
Lage
Meißenheim liegt in einer reizvollen, naturnahen Umgebung im Ortenaukreis und verbindet ländliche Ruhe mit hervorragender Anbindung. Die Gemeinde befindet sich nur wenige Fahrminuten von der A5 entfernt und bietet dadurch eine schnelle Erreichbarkeit der umliegenden Städte – ideal für Pendler und alle, die mobil bleiben möchten.
Die Stadt Lahr erreichen Sie in kurzer Zeit, ebenso das wirtschaftlich starke Offenburg, das vielfältige Einkaufsmöglichkeiten, kulturelle Angebote und zahlreiche Arbeitsplätze bietet. Trotz der Nähe zu diesen Zentren genießen Sie in Meißenheim ein entspanntes, familienfreundliches Wohnumfeld mit viel Grün, schönen Spazierwegen und einer funktionierenden Infrastruktur.