
Adresse des Objekts
77974 Meißenheim
372 m²
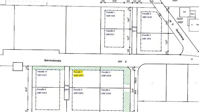
635/4
122.595 €
Hier entsteht Ihr Traumhaus – Grundstück in Meißenheim
Dieses 371,5 m² große Grundstück ist die perfekte Grundlage für Ihr individuelles WeberHaus. Hier haben Sie die Freiheit, Ihr Traumhaus ganz nach Ihren Vorstellungen zu gestalten – von der Architektur bis zur Ausstattung.
Mit WeberHaus entscheiden Sie sich für nachhaltige Bauweise, höchste Energieeffizienz und Qualität, die sich langfristig auszahlt. Das Grundstück bietet ausreichend Platz für ein komfortables Einfamilienhaus und einen Garten, in dem Sie Ihre persönlichen Ideen verwirklichen können.
Haben Sie Fragen oder möchten mehr erfahren? Wir beraten Sie gerne persönlich und unverbindlich. Rufen Sie uns an oder senden Sie uns eine Nachricht – wir freuen uns, Sie kennenzulernen!


Objektdetails & weitere Kennzahlen
- Flurstück 635/4
- Erschliessungszustand Vollerschlossen
- Empfohlene Nutzungsarten Einfamilienhaus
- Bebaubar nach Bebauung nach Bebauungsplan
Sonstige Angaben
Der Grundstücks-Gesamtpreis ist ein Zielpreis und kann aufgrund der noch nicht abgeschlossenen Erschließungsmaßnahmen noch variieren bzw. nicht final sichergestellt werden – bitte sprechen Sie uns hierzu an.
Unser WeberHaus Finanzierungsservice steht Ihnen selbstverständlich ebenfalls zur Verfügung und erstellt Ihnen auf Wunsch ein maßgeschneidertes Baufinanzierungskonzept.
Lage
Meißenheim liegt in einer reizvollen, naturnahen Umgebung im Ortenaukreis und verbindet ländliche Ruhe mit hervorragender Anbindung. Die Gemeinde befindet sich nur wenige Fahrminuten von der A5 entfernt und bietet dadurch eine schnelle Erreichbarkeit der umliegenden Städte – ideal für Pendler und alle, die mobil bleiben möchten.
Die Stadt Lahr erreichen Sie in kurzer Zeit, ebenso das wirtschaftlich starke Offenburg, das vielfältige Einkaufsmöglichkeiten, kulturelle Angebote und zahlreiche Arbeitsplätze bietet. Trotz der Nähe zu diesen Zentren genießen Sie in Meißenheim ein entspanntes, familienfreundliches Wohnumfeld mit viel Grün, schönen Spazierwegen und einer funktionierenden Infrastruktur.