
Adresse des Objekts
77974 Meißenheim
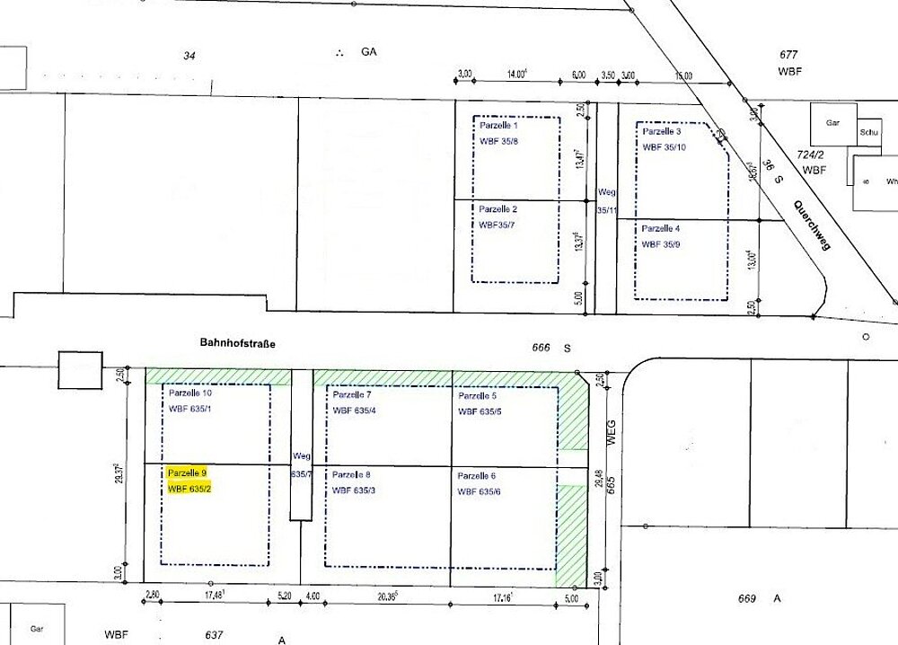
499 m²
635/2
164.505 €
Ihr Zuhause in Meißenheim – 498 m² für maßgeschneiderte Wohnträume
Entdecken Sie dieses attraktive 498,5 m² große Baugrundstück in Meißenheim, das Ihnen die Möglichkeit bietet, Ihr ganz persönliches Zuhause zu gestalten. Die Bebauung ist exklusiv mit einem WeberHaus vorgesehen – einem Baupartner, der für Qualität, Effizienz und nachhaltige Bauweise steht.
Auch wenn der Hersteller festgelegt ist, bleibt die Gestaltung vollkommen offen: Ob klassisches Einfamilienhaus oder ein individuelles Architektenkonzept – gemeinsam mit WeberHaus können Sie Ihr Wunschhaus bis ins Detail planen und perfekt auf Ihre Bedürfnisse abstimmen.
Interessiert? Dann freuen wir uns auf Ihre Kontaktaufnahme.


Objektdetails & weitere Kennzahlen
- Flurstück 635/2
- Erschliessungszustand Vollerschlossen
- Empfohlene Nutzungsarten Einfamilienhaus
- Bebaubar nach Bebauung nach Bebauungsplan
Sonstige Angaben
Der Grundstücks-Gesamtpreis ist ein Zielpreis und kann aufgrund der noch nicht abgeschlossenen Erschließungsmaßnahmen noch variieren bzw. nicht final sichergestellt werden – bitte sprechen Sie uns hierzu an.
Unser WeberHaus Finanzierungsservice steht Ihnen selbstverständlich ebenfalls zur Verfügung und erstellt Ihnen auf Wunsch ein maßgeschneidertes Baufinanzierungskonzept.
Lage
Meißenheim liegt in einer reizvollen, naturnahen Umgebung im Ortenaukreis und verbindet ländliche Ruhe mit hervorragender Anbindung. Die Gemeinde befindet sich nur wenige Fahrminuten von der A5 entfernt und bietet dadurch eine schnelle Erreichbarkeit der umliegenden Städte – ideal für Pendler und alle, die mobil bleiben möchten.
Die Stadt Lahr erreichen Sie in kurzer Zeit, ebenso das wirtschaftlich starke Offenburg, das vielfältige Einkaufsmöglichkeiten, kulturelle Angebote und zahlreiche Arbeitsplätze bietet. Trotz der Nähe zu diesen Zentren genießen Sie in Meißenheim ein entspanntes, familienfreundliches Wohnumfeld mit viel Grün, schönen Spazierwegen und einer funktionierenden Infrastruktur.