
Adresse des Objekts
77974 Meißenheim
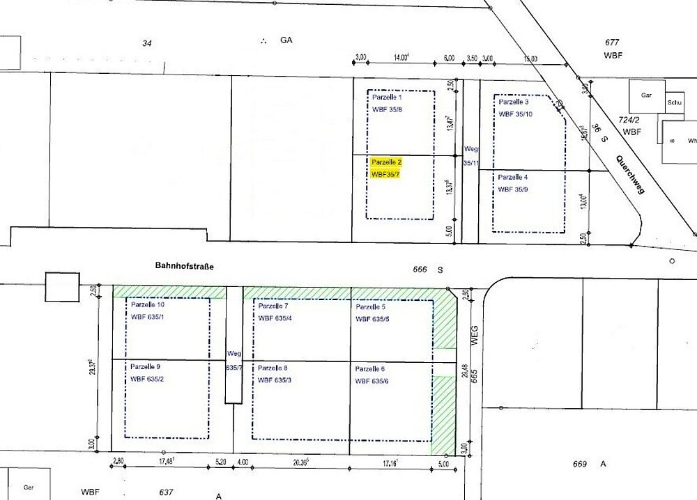
453 m²
35/7
149.490 €
Perfekt für Ihr Traumhaus: Sonniges 453-m²-Grundstück in Meißenheim
Dieses 453m² große Baugrundstück in Meißenheim bietet Ihnen die perfekte Grundlage für Ihr individuelles Traumhaus. In Zusammenarbeit mit WeberHaus können Sie hier ein hochwertiges, energieeffizientes Zuhause nach Ihren persönlichen Vorstellungen verwirklichen – von der Architektur über die Raumaufteilung bis hin zu exklusiven Ausstattungsdetails.
Wir freuen uns auf Ihre Anfrage – melden Sie sich jederzeit gerne bei uns.


Objektdetails & weitere Kennzahlen
- Flurstück 35/7
- Erschliessungszustand Vollerschlossen
- Empfohlene Nutzungsarten Einfamilienhaus
- Bebaubar nach Bebauung nach Bebauungsplan
Sonstige Angaben
Der Grundstücks-Gesamtpreis ist ein Zielpreis und kann aufgrund der noch nicht abgeschlossenen Erschließungsmaßnahmen noch variieren bzw. nicht final sichergestellt werden – bitte sprechen Sie uns hierzu an.
Unser WeberHaus Finanzierungsservice steht Ihnen selbstverständlich ebenfalls zur Verfügung und erstellt Ihnen auf Wunsch ein maßgeschneidertes Baufinanzierungskonzept.
Lage
Meißenheim liegt in einer reizvollen, naturnahen Umgebung im Ortenaukreis und verbindet ländliche Ruhe mit hervorragender Anbindung. Die Gemeinde befindet sich nur wenige Fahrminuten von der A5 entfernt und bietet dadurch eine schnelle Erreichbarkeit der umliegenden Städte – ideal für Pendler und alle, die mobil bleiben möchten.
Die Stadt Lahr erreichen Sie in kurzer Zeit, ebenso das wirtschaftlich starke Offenburg, das vielfältige Einkaufsmöglichkeiten, kulturelle Angebote und zahlreiche Arbeitsplätze bietet. Trotz der Nähe zu diesen Zentren genießen Sie in Meißenheim ein entspanntes, familienfreundliches Wohnumfeld mit viel Grün, schönen Spazierwegen und einer funktionierenden Infrastruktur.