Adresse des Objekts
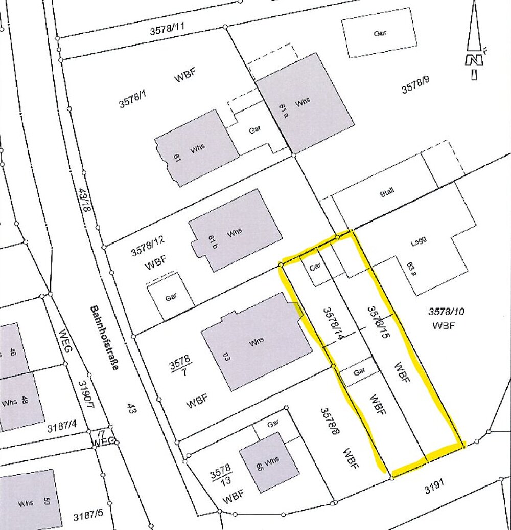
Bahnhofstraße 63 a, 77731 Willstätt-Legelshurst
606 m²
3578/14+15
115.000 €
Traumhafte Feldrandlage und Zinsverbilligt in KFW 40 QNG
Das Grundstück ist frei nach Ihren Vorstellungen bebaubar - die bereits vorhandene Garage und der Carport sind im Preis enthalten!!
Der Kontrollschacht wird vom Verkäufer bereits neu gesetzt - das Grundstück wird aus einer bereits vorhanden Hoffläche separiert und
es entsteht somit ein frei zugängliches eigenständiges Terrain.



Objektdetails & weitere Kennzahlen
- Flurstück 3578/14+15
- Erschliessungszustand Teilerschlossen
- Empfohlene Nutzungsarten Doppelhaus, Einfamilienhaus
- Bebaubar nach Nachbarbebauung
Sonstige Angaben
Das Grundstück kann nur zur Bebauung mit einem WeberHaus erworben werden. Unser WeberHaus Finanzierungsservice (WHF) erstellt für Sie ein maßgeschneidertes Baufinanzierungskonzept.
Hierzu zählt ein umfassender Fördermittel-Check. Der Preis ist inklusive Kontrollschächte.
Lage
Die Gemeinde Willstätt besticht durch ihre optimale Lage und Verkehrsanbindung. Auf der Entwicklungsachse Kehl – Offenburg – Kinzigtal in der Mittelbadischen Rheinebene liegend, ist man an die Autobahn A 5 Karlsruhe – Basel sowie die Bundesstraßen B 28 und B 33 angeschlossen. Nur 15 km sind es bis zur Stadtmitte Straßburgs, 10 km bis Offenburg.
Der nächste Flughafen befindet sich in Straßburg – Entzheim, und nur 40 km entfernt liegt der Regionalflughafen Baden-Airpark in Söllingen. Durch die Gemeinde verläuft die Bundesbahnstrecke Appenweier – Straßburg mit einem Personenbahnhof im Ortsteil Legelshurst. Zudem bietet der öffentliche Nahverkehr beste Anbindungen an die umliegenden Städte und GemeindenWillstätt liegt zwischen dem Rhein und dem Mittleren Schwarzwald.